Pasar al contenido principal

Subscribe block header

Suscribirse

User account menu

Mostrar — User account menu Ocultar — User account menu
  • Iniciar sesión
  • Iniciar sesión

Main navigation

Mostrar — Main navigation Ocultar — Main navigation
  • Home
  • Secciones
  • Destacados

Zona Cero Home

La Zona Radio

Main navigation

Mostrar — Main navigation Ocultar — Main navigation
  • Home
  • Secciones
    • Generales
    • Mundo
    • Podcast
    • Política
    • Sociales
    • Eventos
    • Deportes
    • Tecnología
    • Multimedia
    • Judiciales
    • Opinión
  • Destacados
    • Barranquilla
    • Atlántico
    • Colombia
    • Zona Caribe

Síguenos

Mostrar — Síguenos Ocultar — Síguenos
  • Facebook
  • Twitter
  • YouTube
  • Instagram
Título de la noticia

Sobrescribir enlaces de ayuda a la navegación

  1. Inicio
  2. Hawai

Hawái

Article
Tamayo Perry, surfista y actor.
  • Hawái

Falleció Tamayo Perry, surfista y actor de ‘Piratas del Caribe’, por ataque...

hace 1 año
Article
Imagen referencial.
Estados Unidos

Zuckerberg construye un gran búnker "postapocalíptico" en...

hace 2 años
Article
Imagen de los daños por el incendio.
Estados Unidos

El difícil camino a la recuperación de la comunidad latina de Maui tras...

hace 2 años
Article
La imagen que le da la vuelta al mundo.
Estados Unidos

¡Impresionante!: La casa de más de 100 años que se salvó del infierno...

hace 2 años
Video
La isla hawaiana de Maui tras el incendio.
Estados Unidos

Equipos de rescate buscan a 1.000 personas desaparecidas, tras incendio en...

Hace 2 años
Article
Turistas evacuados en el incendio declarado en Hawái.
Estados Unidos

Asciende a 55 el número de muertos en el incendio forestal que azota Hawái

Hace 2 años
Video
Vista aérea de una de las zonas totalmente afectadas en Hawái
Estados Unidos

Hawái devastada por incendio, aún activo, que causó la muerte a 53 personas

Hace 2 años
Article
Imagen de los incendios.
Estados Unidos

Al menos 36 personas muertas en los incendios forestales de Hawái

Hace 2 años
Article
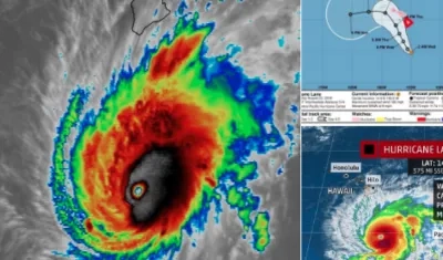
El huracán Lane mantiene vientos muy fuertes.
Temporada de Huracanes

El huracán Lane va hacia Hawái como una peligrosa tormenta de categoría 5

Hace 7 años
Article
El volcán Kilauea de Hawái.
Emergencia

La erupción del volcán de Hawái provocó un temblor de 5,2 grados

Hace 7 años
Article
Autoridades advierten de los peligros de la lava.
Estados Unidos

Un herido grave por lava del volcán Kilauea en Hawái

Hace 7 años
Article
El volcán Kilauea entró hoy en erupción.
Erupción

Autoridades ordenan evacuaciones en Hawái por erupción del volcán Kilauea

Hace 8 años
  • VER MÁS

Regístrate aquí para recibir nuestros boletines informativos

The subscriber's email address.
ewerwer

Footer

Mostrar — Footer Ocultar — Footer
  • SECCIONES
    • Generales
    • Mundo
    • Podcast
    • Política
    • Sociales
    • Eventos
    • Deportes
    • Tecnología
    • Multimedia
    • Judiciales
    • Opinión
  • DESTACADOS
    • Barranquilla
    • Atlántico
    • Zona Caribe
    • Colombia

Síguenos

Mostrar — Síguenos Ocultar — Síguenos
  • Facebook
  • Twitter
  • YouTube
  • Instagram

Legales footer

Mostrar — Legales footer Ocultar — Legales footer
  • Nosotros
  • Contacto
  • Términos y condiciones
  • Política de privacidad

Zonacero.com | Todos los derechos reservados

Calle 82 # 55-55 - Oficina 310. Barranquilla, Colombia

  • Desarrollado por