Huracán Melissa recuerda los poderosos ciclones en el Atlántico en los últimos 25 años
Cada día son más frecuentes los de categoría 5.
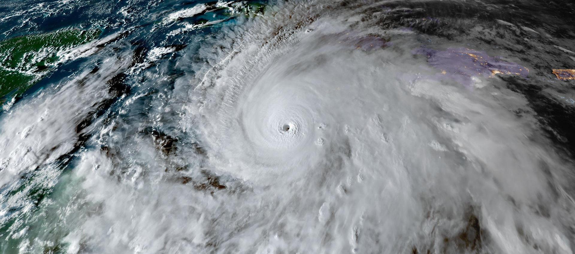
El huracán Melissa ha dejado esta semana una estera de destrucción y muerte en las islas de Jamaica, Cuba y Haití.
El poderoso ciclón llegó a la máxima categoría 5 con vientos sostenidos de hasta 290 kilómetros por hora.
El reporte preliminar de las autoridades han estimado 20 muertos en Haití y 19 en Jamaica.
Nuestras noticias en tu mano: Únete a nuestro canal de WhatsApp y mantente informado de todo lo que sucede.
El fenómeno impactó Jamaica como categoría 5 y dejó una estela de destrucción.
Más de 500.000 personas quedaron sin electricidad en Jamaica y al menos 15.000 tuvieron que buscar refugio.
Cada vez son más frecuentes los huracanes de esta categoría en el Océano Atlántico. Científicos y meteorólogos coinciden en que el cambio climático está influyendo en que haya huracanes más potentes. Existe varios factores.

El primero de ellos es que las aguas del Océano, especialmente las del Mar Caribe, cada vez son más cálidas. Es decir, que las temperaturas se han venido incrementando paulatinamente y ese es precisamente el combustible de un ciclón tropical: entre más caliente sea el agua del mar, más fuerte será el huracán.
Es la primera vez en una misma temporada de huracanes, 1 junio hasta el 30 de noviembre, en 25 años que se registran tres fenómenos de categoría 5 en el Atlántico, solo que Melissa ha sido el único que tocó tierra. Los otros dos fueron Erin y Humberto que deambularon en aguas abiertas del Océano Atlántico sin llegar a las costas de América.
Te puede interesar: El Giro de Rigo en Barranquilla, un “río de emociones, energía y pasión”, Char
Melissa hace recordar otros huracanes tan poderosos durante los últimos 25 años.
Huracán Ian (2022)
Este potente huracán alcanzó la categoría 5 y antes de tocar tierra en la costa oeste de la Florida se redujo a 4, pero continuó siendo devastador.
El ciclón dejó más de 150 muertos en su trayectoria y daños valorados en más de 112 mil millones de dólares.
También dejó sin energía a la isla de Cuba y mantuvo vientos sostenidos de 260 km/h.
Ha sido considerado como el tercer huracán más costoso en daños que generó en los Estados Unidos.
Debido a su poder destructor, la Organización Meteorológica Mundial (OMM), retiró su nombre de la lista de huracanes en marzo del 2023. Es decir, el nombre Ian no será más usado en otra temporada de huracanes para evitar insensibilidad ante la catástrofe que originó y no haya confusión histórica.

Huracán Iota (2020)
En pleno año inicial de la pandemia del Covid-19, en el mar Caribe se formó el huracán Iota, en noviembre de 2020, fecha en que los hospitales en el mundo afrontaban la emergencia sanitaria y tenían el reto de atender a los heridos que produjera el mencionado huracán.
El ciclón alcanzó la categoría 5 y posteriormente se mantuvo en 4 en el mar Caribe y afectó zonas costeras de Colombia, Venezuela, Nicaragua, Honduras, El Salvador, Costa Rica, Panamá y Guatemala.
Por primera vez, un ciclón tropical de esta magnitud afectaba con tanta fuerza a la isla de Providencia, en territorio insular de Colombia.
Le puede interesar: Petro asegura que Colombia "participará" en la reconstrucción de Gaza
“Es la primera vez que un huracán de categoría 5 llega al país desde que existen registros oficiales. Estamos ante un hecho que tiene unas características que nunca se habían visto en nuestro país”, dijo el entonces Presidente de Colombia, Iván Duque, durante una rueda de prensa en Bogotá ante la inminente llegada del poderoso huracán.
Alcanzó a tener vientos superiores a los 250 km/h.
Huracán María (2017)
En el año 2017 se formó el huracán María, 16 de septiembre, como un potente ciclón categoría 5 que dejó más de 60 muertos y destrucción total en la isla de Dominica, en las Antillas Menores.
Además, tocó tierra como categoría 4 en Puerto Rico, donde reportes de las autoridades estimaron la muerte de alrededor de 3 mil personas y dejó daños valorados en 91.600 millones de pesos.
El ciclón fue la décima tormenta más intensa del mundo en 2017 y logró mantener vientos sostenidos de 280 km/h.
Se estima que las muertes por el ciclón superaron las 4 mil en su recorrido por las Antillas menores y Puerto Rico, donde por la devastación y la muerte fue catalogada como una de las peores tragedias naturales del siglo XXI.

Huracán Irma (2017)
Antes de María, se había formado el huracán Irma (30 de agosto de 2017), que también alcanzó la categoría 5 con 285 km/h y dejando más de 130 muertos a su paso por el Caribe y al llegar al estado de la Florida, en Estados Unidos.
Las pérdidas fueron estimadas por 75 mil millones de dólares solo en Estados Unidos.
Huracán Katrina (2005)
El 23 de agosto de 2005 se formó el huracán Katrina. En primera instancia como categoría 1 e ingresó en el estado de la Florida. Sin embargo, al llegar al Golfo de México, donde las aguas son aún más cálidas, el fenómeno natural tomó fuerza y logró intensificarse rápidamente hasta llegar a la categoría 5 con vientos sostenidos de 280 km/h.
Antes de tocar tierra, bajó su intensidad a categoría 3 pero aún así fue mortífero al impactar en la ciudad de Nueva Orleans (Luisiana), en Estados Unidos.
Le puede interesar: Secuestran al esposo de la Secretaria de Gobierno de Miranda, Cauca
Los diques que protegían a la ciudad fallaron y terminó inundándose. La tragedia fue de proporciones apocalípticas. Durante su recorrido hubo más de 1.300 muertos y los daños fueron valorados en 125 millones de dólares.
Es considerado el huracán más mortífero y devastador en los últimos 25 años e igualmente su nombre fue sacado de la lista de huracanes para no ser puesto jamás a otro ciclón.