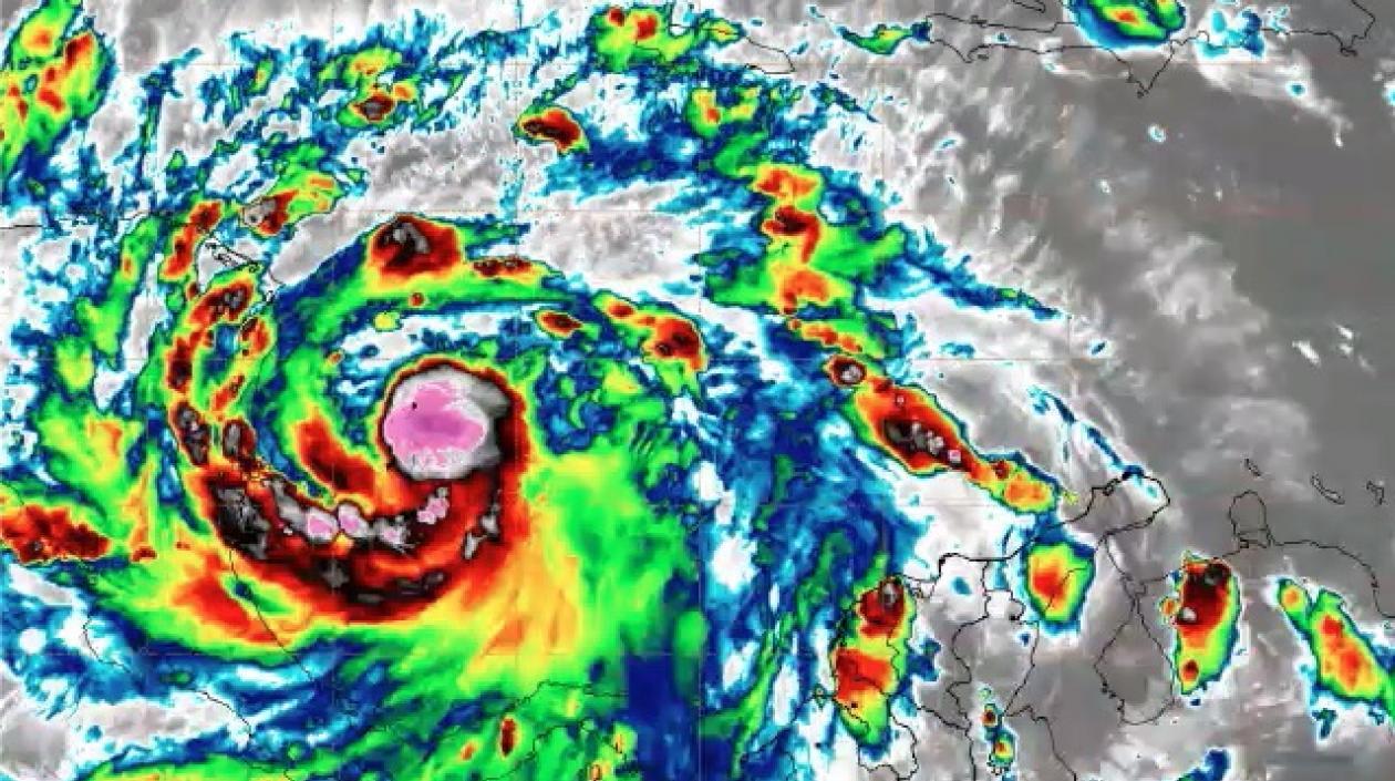
Entre 12 y 16 horas el huracán ‘Julia’  permanecerá en San Andrés y Providencia
Momento exacto del paso de 'Julia' por San Andrés.
Foto
Ideam

Share:

Entre 12 y 16 horas el huracán ‘Julia’ permanecerá en San Andrés y Providencia

Autoridades confían en que su paso no sea tan arrasador como ‘Iota’ en 2020.

Lluvias y fuertes vientos azotan desde la tarde de este sábado la isla colombiana de San Andrés por la llegada del huracán ‘Julia’, que alcanzó la categoría uno justo cuando comenzó a pasar sobre este archipiélago caribeño en su camino hacia las costas de Nicaragua.

Los videos compartidos en redes sociales por vecinos de la isla y turistas que la visitan dan cuenta de los estragos de ‘Julia’ con fuertes rachas de viento y precipitaciones, con las palmeras y árboles de la isla combándose por los vientos y un embravecido oleaje.

"Se espera que continúen las precipitaciones en las próximas horas, los vientos y las rachas de viento. Vientos huracanados son previstos en las próximas horas en esta zona de las islas de San Andrés, Providencia, Santa Catalina y los cayos", detalló la directora del Instituto de Hidrología, Meteorología y Estudios Ambientales (IDEAM), Yolanda González.

El Gobernador de San Andrés, Everth Hawkins Sjogreen, dijo a Noticias Caracol que la tormenta tropical "se transformó en el huracán ‘Julia’, de categoría uno, exactamente sobre San Andrés".

"Ya empezaron los fuertes vientos debido a los coletazos que va dejando porque el desplazamiento afortunadamente ha sido rápido", agregó el funcionario, quien señaló que en el archipiélago estarán "en alerta hasta por lo menos seis horas más" que es el tiempo que calculan que ‘Julia’ demorará en salir de la zona de San Andrés hacia las costas de Nicaragua.

En este sentido, el Director de la Unidad Nacional para la Gestión del Riesgo de Desastres (UNGRD), Javier Pava, alertó de que el tránsito del huracán "no va a ser inmediato" y podría durar "entre 12 y 16 horas", y que se espera que las condiciones esta noche sean "bastante complicadas" en San Andrés y Providencia.

‘Julia’ se convirtió en un huracán con vientos de 70 millas por hora (100 km/h) camino de Nicaragua, donde se espera que toque tierra esta noche, según el Centro Nacional de Huracanes (NHC, sigla en inglés) de Estados Unidos, con sede en Miami, que advirtió que las lluvias que puede llegar a descargar pueden producir inundaciones y derrumbes.

A las 21.00 GMT de este sábado ‘Julia’ estaba a unas 55 millas (90 km) al este de la isla de Providencia que al igual que San Andrés fue duramente golpeada en 2020 por el huracán Iota, y a 175 millas (280 km) de Bluefield (Nicaragua), con vientos máximos sostenidos que alcanzan las 70 mph (110 km/h) con mayores ráfagas. 

EFE

 

 

Más sobre este tema: